Testen en de uitleg hiervan

 

Lijst met Gezondheidsonderzoeken waar een Border Collie op getest kan of moet worden:

 

ECVO (ogentest, onderzoek)
ECVO staat voor het European College of Veterinary Ophthalmologists. De panelleden zijn gehouden aan afspraken rondom het onderzoek. Deze afspraken zijn vastgelegd in het ECVO-scheme en de ECVO-Procedure Notes.
 
 
DNA
DNA is de afkorting van het Engelse DesoxyriboNucleic Acid, vertaalt in het Nederlands desoxyribonucleïnezuur. Het DNA bevat de code waarin al onze erfelijke eigenschappen zijn vastgelegd.
 
 
Glaucoom (ecvo d.m.v.  Gonioscopie) & GG (middels dna)
Verhoogde druk in het oog. Kan berusten op een erfelijke afwijking, maar hoeft dit niet te zijn. Voor het gezichtsvermogen een ernstige bedreiging.

 
Pra (ecvo)
Pra is de afkorting voor Progressieve Retina Atrofie. ( Nachtblindheid ). Een aandoening waarbij de staafjes en of kegeltjes, die zich in het netvlies bevinden, langzaam verdwijnen.

Er zijn net als bij de grijze staar meerdere vormen van deze ziekte bij de hond bekend. Wijze van vererving is bijna altijd recessief. Dit houdt in dat een lijder de ziekte alleen kan krijgen wanneer beide ouders op z'n minst drager zijn.

In tegenstelling tot staar komt deze afwijking altijd in beide ogen voor en dan ook nog eens in dezelfde mate. Behandeling is niet mogelijk.
 
 
Cataract (ecvo)
Grijze staar is een aandoening waarbij er een niet-pijnlijke grijsverkleuring of vertroebeling van de lens van het oog optreedt.
Cataract kan ontstaan op jonge of op oude leeftijd. Cataract kan zelfs aangeboren zijn. Soms kan cataract optreden na een beschadiging van het oog of ten gevolge van een andere oogziekte. Diabetes kan ook een oorzaak zijn van grauwe staar bij honden.
 
 
Cea (middels dna)
Collie Eye Anomaly is een verzamelnaam van een groep aangeboren ontwikkelingsstoornissen van het netvlies/vaatvlies en de achterwand van het oog. De afwijkingen komen meestal beiderzijds voor, maar kunnen ook eenzijdig voorkomen.
 
 
Cl (middels dna)
CL vormen een groep stofwisselingsziekten met het volgende kenmerk: in de zenuwcellen (neuronen) van hersenen en in andere weefsels, zoals spiercellen, wordt de stof 'ceroidlipofuscine' gestapeld. Bij CL leidt deze stoornis van de zenuwcellen in het netvlies tot achteruitgang van het gezichtsvermogen. Een gestoorde functie van de zenuwcellen die de spieren besturen, leidt tot motorische problemen. Er treden daarnaast een soort epileptische verschijnselen en lichte spierschokjes op.  Ook kunnen er stoornissen in het geheugen, slaapstoornissen en gedragsproblemen zich ontwikkelen.
 
 
Tns (middels dna)
Trapped Neutrophil Syndrome.
 Witte bloedlichaampje blijven gevangen in het beenmerg waardoor de hond niet kan vechten tegen bacteriën. De hond reageert ook niet of onvoldoende op inentingen.  De hond kan dus ziek worden van alle bacteriën waarmee het in aanraking komt, het gaat gepaard met hele hoge koorts wat op een gegeven moment zal lijden tot sterven van het dier omdat het dier steeds zwakker wordt en de bacterie niet de baas kan.
De ziekte kan voorkomen (en op den duur uitgeroeid) worden door geen twee dragers met het TNS-gen met elkaar te kruizen.
 
 
Mdr1 (middels dna)
Multidrug Resistance. Bij de normale gezonde hond worden het hersenweefsel en het centrale zenuwstelsel beschermd tegen de hoge concentraties van giftige stoffen (zoals geneesmiddelen) die in de bloedbaan circuleren. Het "Multidrug Resistance gen 1" (het MDR1 gen) heeft een belangrijke functie in de barrière tussen de bloedvaten en het hersenweefsel. Het codeert het eiwit P-glycoproteïne dat een onderdeel is van het membraan in de bloed-hersen-barriëre. P-glycoproteïne zorgt ervoor dat allerlei giftige stoffen (onder andere geneesmiddelen zoals Ivermectine) vanuit de hersencellen worden teruggevoerd in het bloed.

Het verschijnsel "Ivermectine-overgevoeligheid bij Collies en Collie-achtigen" werd voor het eerst beschreven in 1983. Ivermectine (een middel tegen parasieten) veroorzaakt vergiftigingsverschijnselen in de hersenen bij een deel van de Collies. Dat gebeurt al bij doseringen die één-tweehonderste deel zijn van de doseringen die bij andere honden tot schade leiden. De dieren die het treft gaan vaak overmatig speekselen, ze gaan braken, krijgen epileptiforme aanvallen, ze krijgen spijsverterings- en ademhalingsstoornissen en kunnen in coma raken en zelfs overlijden.

Honden die aan overgevoeligheid voor Ivermectine lijden, blijken overgevoelig te zijn voor een reeks van geneesmiddelen.
 
 
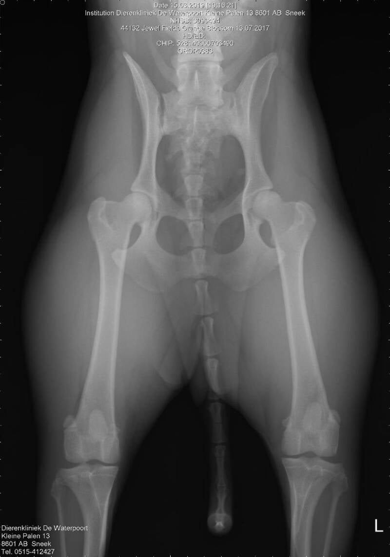
Heupdysplasie (Röntgenonderzoek)
Heupdysplasie (HD) is een misvorming van één of beide heupgewrichten. Het gevolg is dat de dijbeenkop niet meer goed in de kom van het bekken past. In Nederland mogen we dan ook alleen maar fokken met uitslagen als HD A & HD B.

 

Röntgen heupen

HD A1 Norbergwaarde 40 Botafwijking 0
(Jewel Fields Amareno)

 

HD A1 Norbergwaarde 38 Botafwijking 0
(Jewel Fields Celtic Breeze)

 

HD A1 Norbergwaarde 30 Botafwijking 0
(Isle of Skye Stars Border Collies)

 

HD A1 Norbergwaarde 37.5 Botafwijking 0
(Jewel Fields Orange Blossom)